ならしの動物医療センター

ならしの動物医療センター

report 症例報告

レッグ・カルベ・ぺルテス

2017.12.22

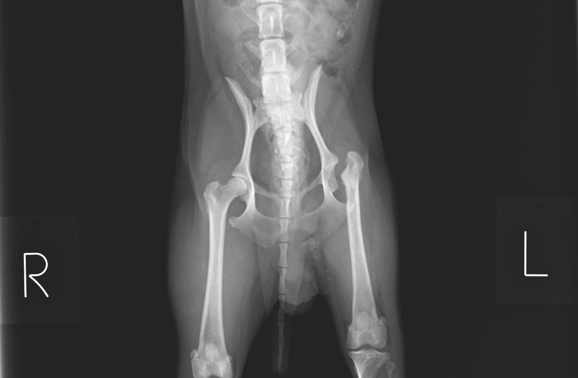
本日の症例は、以前レッグ・カルベ・ぺルテス病と診断されて、
外科的手術を受けたわんちゃんです。

レッグ・カルベ・ぺルテス病は若いわんちゃんに起こりやすく、

大腿骨の骨頭が壊死してしまう病気です。

 

今回のわんちゃんは術後の経過観察のため来院されました。

れっぐぺる
 

レントゲン画像では左の大腿骨が股関節から離れていますが、術後はこの状態が正常で、
現在普通に歩けるようになっています。